Boost Commons Development Community Meeting & City Wide Community Outreach

Metro Council - District 23

Metropolitan Government of Nashville and Davidson County

July 21, 2017

 

Mina Johnson

District 23 Council Member Mina Johnson

Metro Council Office

One Public Square

Suite 204

P.O. Box 196300

Nashville, TN 37219

Phone: 615-429-7857

Email Mina Johnson

City Wide Community Outreach

Vice Mayor David Briley recently created a Metro Council Transparency Committee to improve "inclusion and transparency in the Council's legislative process." The Committee would like to hear how community members would like to engage with the Councilmembers, and to promote transparency and discuss ways the Council can better serve the community.

The Committee has scheduled seven meetings in order to make it easy for people to get to one or more meetings. The closest location to District 23 is;

South West     6 pm Tuesday, July 25 - West Police Precinct, 5500 Charlotte

Please join the meeting to share your thoughts.

Community Outreach

Boost Commons Development Meeting

6pm, Thursday, July 27th

Boost Fitness Club

11 Vaughns Gap Rd

Please join me Thursday, July 27th at 6 pm to learn about the newest Boost Commons development plan.

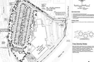
The plan is to rezone from R15 and R8 to SP-R for property located at 11 Vaughns Gap Rd at the southwest corner of the intersection of Vaughns Gap Rd & Hwy 100 to permit up to 54 attached residential units behind the Boost Athletic Club building, where unused tennis courts are currently located. 

Metro Planning Commission approved the plan with conditions at the June 8th meeting. The Ordinance BL2017-815 was filed and is currently scheduled for a Metro Council public hearing at 6:30 pm on August 1st.

Boost

As always, I welcome your input. Please feel free to call me or e-mail me with any suggestions or questions.