Virtual Public Meeting Planned for Coolville Safety Improvement Project
Reduced Collision U-Turns (RCUTs) Planned on U.S. 50
  MARIETTA - The Ohio Department of Transportation (ODOT) District 10 invites the public to a virtual meeting regarding a planned safety improvement project on U.S. 50 at Coolville in Athens County.
This is in addition to an in-person public meeting which has already been held.
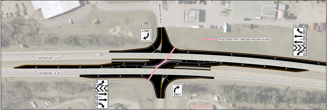
About the Project ODOT proposes installing Reduced Collision U-Turns (RCUTs) at Coolville. This would prohibit traffic from turning left or driving straight from County Road 56 (Brimstone Road) onto U.S. 50. Instead, drivers would turn right and complete a legal U-turn at a nearby crossover. Construction would take place in 2025.
Background The County Road 56/U.S. 50 intersection has a history of crashes. There have been 18 of them since 2019, the majority of which are angle crashes involving drivers turning left or going straight from County Road 56. Injuries were reported in half of these crashes.
Why RCUTs? In addition to allowing for more efficient movement of traffic, RCUT intersections can reduce the total number of conflicts points by up to 50 percent, therefore limiting collision opportunities and, typically, the severity of such collisions. The Federal Highway Administration (FHWA) has deemed RCUTs a proven safety countermeasure. See more information, including an instructional video here.
Virtual Public Meeting Tuesday, July 30, 2024 Presentation at 1:00 p.m. followed by Q&A session Join online: https://publicinput.com/EM5717 Join by phone: 855-925-2801, meeting code 7133
This is in addition to the in-person public meeting which was held on July 16.
The presentation for both meetings is the same.
Comment Submission Comments can be submitted via the project website, email, phone, or mail until August 30, 2024:
Alan L. Craig, P.E. 338 Muskingum Drive Marietta, Ohio 45750 (740) 568-3954 Alan.Craig@dot.ohio.gov
ODOT values public participation and encourages feedback regardless of race, color, sex, age, national origin, or disability. For those unable to access the meeting, information can be obtained by contacting Alan Craig. The public meeting presentation will be posted on the project website following the meeting.
***
|