Showcasing the DNR: Lake trout live long and prosper in Lake Superior

Share or view as webpage  |  Update preferences

Showcasing the DNR

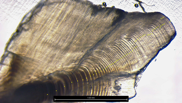
Dots superimposed on an image of the otolith of "Mary Catherine" is shown.

Lake trout live long and prosper in Lake Superior

DNR researchers recently discovered 62-year-old lake trout

By SHAWN SITAR
Fisheries research biologist
Michigan Department of Natural Resources

The oldest known lake trout in the Great Lakes, 62 years old at the time of capture, was recently documented by researchers at the Michigan Department of Natural Resources Marquette Fisheries Research Station.

This fish was collected from Klondike Reef in Lake Superior in the fall of 2023 by a team of intrepid researchers from the DNR, U.S. Fish and Wildlife Service, University of Wisconsin-Milwaukee and Purdue University.

Age is one of most important variables in tracking population health for fish, and this finding indicates that lake trout indeed live long and prosper in Lake Superior.

This image shows the oldest-known lake trout from Lake Superior, "Mary Catherine."

In March 2024, Dan Traynor, fisheries technician at the Marquette Fisheries Research Station, was working in the lab, processing samples collected in September 2023 at Klondike Reef, a remote offshore area near the Canadian border, 40 miles north of Grand Marais.

Traynor, one of the few experts on the age assessment of lake trout in North America, assigned the age of a humper lake trout collected during the survey. Humper lake trout are one subspecies of the fish found in offshore lake mounts in Lake Superior. They are slow-growing and don’t get very large because they mostly feed on invertebrates.

The fish was female, weighed 2.1 kilograms (4.62 pounds) and was 627 millimeters (24.7 inches) in length. These stats aren’t remarkable – the longest collected by the Marquette Fisheries Research Station was 1,350 millimeters (53.1 inches) and the heaviest collected was 16.1 kilograms (35.5 pounds). The state record for Michigan is 61.5 pounds.

What was remarkable was the lake trout’s age, estimated to be 62 years old – the oldest documented lake trout in the Great Lakes.

This fish, that DNR staff has named “Mary Catherine,” hatched in 1961 (Mary was one of the most common names for babies born that year). When Grandma Mary Catherine hatched, the U.S. president was John F. Kennedy and Yuri Gagarin was the first human to go into outer space.

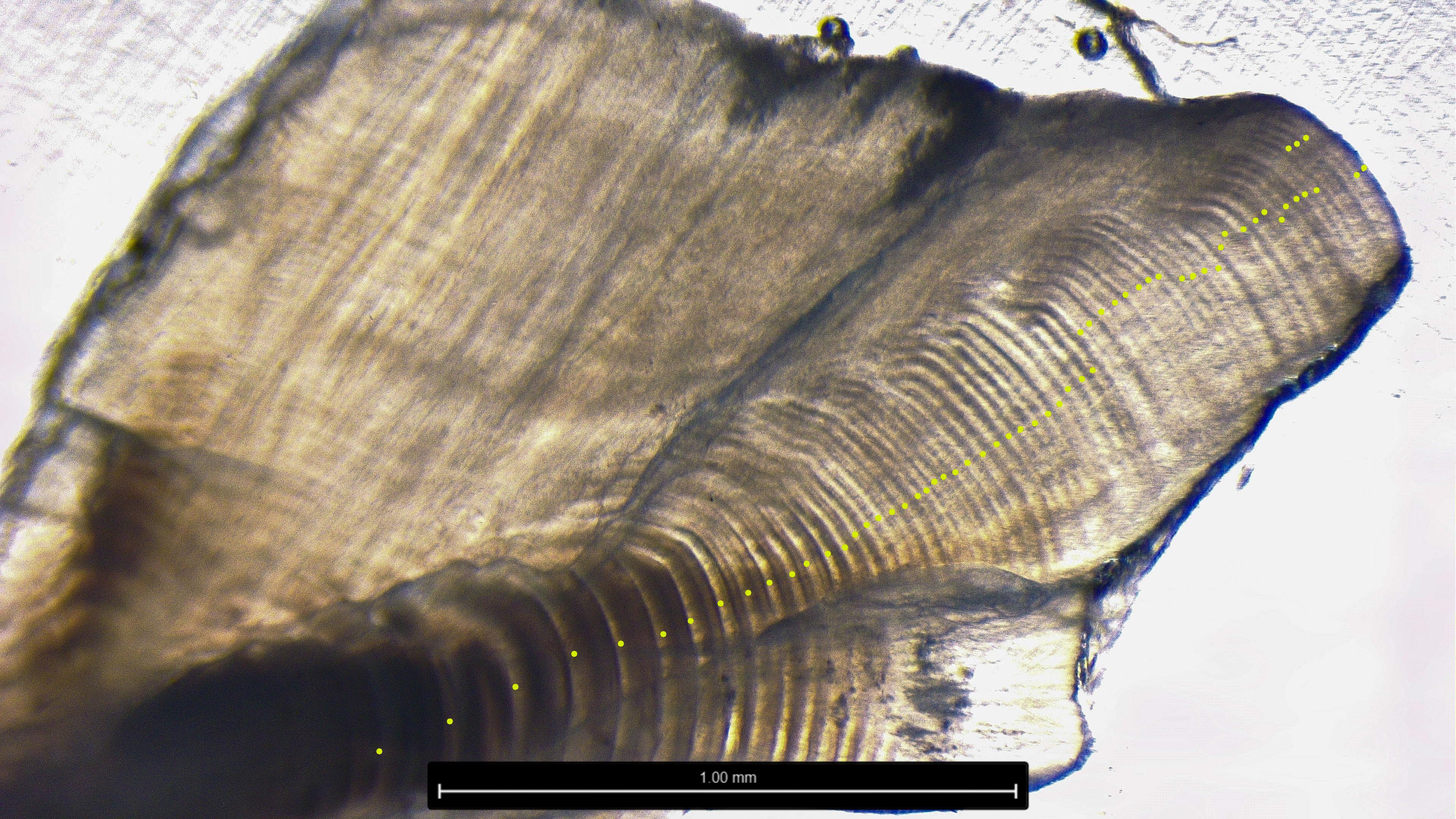
The entire otolith for "Mary Catherine" is shown.

If fish went to school (high school that is, not just schools of fish), she would have graduated from Klondike Reef High School in the same year as Meg Ryan, Princess Diana and Barack Obama reached that milestone.   

Age can be measured in fish with multiple body structures, such as spines. For lake trout, the otolith, or ear stone, is the most reliable indicator of age. The otolith is in the inner ear – humans have them, too – and as the fish grows, so does the otolith.

This growth leaves rings each winter, similar to tree rings, which can then be counted to estimate the fish’s age.

Lake trout are adapted to live in unproductive ecosystems with limited food resources, which makes them take the tortoise approach in life – high longevity over the long road, in contrast to salmon, which live and must do everything on their bucket list in only about four years.

Animals and plants that live in extremely unproductive environments with little food and extreme temperatures and weather (such as the Arctic, deep-sea trenches or deserts) take a long time to grow.

This chart shows the different types of lake trout forms from Lake Superior.

For example, some spruce trees that are only a few feet tall in the Arctic/boreal regions can live to be several hundreds of years old because they get limited sunlight and nutrients and grow very slowly. 

The upper Great Lakes are considered oligotrophic (low-productivity) ecosystems because of how deep, cold and far north they are. This is especially true for Lake Superior, the deepest of the Great Lakes, with an annual average surface temperature of only 40 degrees Fahrenheit and average depth of 483 feet.

Lake trout evolved and adapted to live in this type of ecosystem, and that is why lake trout can thrive at all depths in Lake Superior, even at Superior Maximus, the deepest location in the Great Lakes – 406 meters (1,332 feet) – which was first explored in June 2006 by the Marquette Fisheries Research Station staff.

Due to environmental conditions, competition for resources and fishing, the typical life span for a lake trout in Lake Superior is 25 to 30 years.

Prior to this discovery, the oldest known lake trout in Lake Superior, which was reported by the Wisconsin Department of Natural Resources in 1998, was 42 years old.

Age is one of the most vital statistics used to assess the health of fish populations. Scientists look at the age distribution in fish populations to measure mortality, growth and longevity.  

A fish net is shown full of lake trout during the Lake Superior survey.

Mary Catherine was captured during a special survey to inventory the ecomorphs (sub-species) of lake trout at Klondike Reef (part of the Caribou Island Reef complex), and also to study their reproductive biology.

This study will provide more details on the life history and biology of Klondike-strain lake trout to help fishery managers better understand where to stock these fish and what to expect in terms of their performance.  

The survey was conducted by the DNR’s Research Vessel Lake Char, which is crewed by specialists skilled in exploring the varied habitats and enduring the sometimes-harsh weather conditions encountered across Lake Superior.

The RV Lake Char crew, with home port in Marquette, is a blend of science and maritime professionals comprising two research technicians, two captains and a research biologist.

This team is highly experienced in working in deep water and has spent many hours together exploring the vast extents of Lake Superior, from Isle Royale to Superior Maximus.

The Klondike Reef expedition required the crew to plan logistics of operating in remote offshore areas far from land, conduct a reconnaissance of the area (much of that area is uncharted) and set nets to collect the various lake trout forms. 

Crew on the Lake Char take measurements of lake trout caught during the survey.

This study is important not only for Lake Superior, but also for lake trout recovery programs in the four lower Great Lakes. The Klondike strain of lake trout stocked in these lakes is based on fish collected from this site.

The U.S. Fish and Wildlife Service has Klondike-strain lake trout in their hatchery system to support the ongoing lake trout recovery programs in lakes Michigan, Huron, Erie and Ontario.

Lake trout recovery in Lake Superior 

In the early part of the 20th century, Lake Superior lake trout supported high levels of commercial harvest. However, the invasion of the sea lamprey – a parasitic, eel-like fish that preys on other fish – combined with ongoing intense commercial fishing, resulted in the collapse of lake trout populations in Lake Superior by the 1950s.

The same thing happened earlier in all the other Great Lakes. In 1954, the United States and Canada adopted a treaty to form the Great Lakes Fishery Commission through the 1954 Convention on Great Lakes Fisheries, to combat the sea lamprey, help manage Great Lakes fisheries and rehabilitate lake trout in the Great Lakes.

In 2024, the Lake Superior Committee of the Great Lakes Fishery Commission, comprising state, federal, and tribal government agencies, declared that Lake Superior lake trout populations had been finally rehabilitated.

This is one of the greatest comeback stories in freshwater fisheries management.

The hard work of the natural resource agencies working together to control fishing, suppress sea lamprey and stock fish early on led to achieving the goal of having genetically diverse, self-sustaining, wild populations of Lake Superior lake trout, similar to levels found in the lake prior to the sea lamprey invasion.

Learn more about DNR research that provides crucial information on how to manage Michigan's fisheries at Michigan.gov/FishResearch

Check out previous Showcasing the DNR stories in our archive at Michigan.gov/DNRStories. To subscribe to upcoming Showcasing articles, sign up for free email delivery at Michigan.gov/DNREmail.


Note to editors: Contact: John Pepin, Showcasing the DNR series editor, 906-226-1352. Accompanying photos and a text-only version of this story are available below for download. Caption information follows. Credit Michigan Department of Natural Resources, unless otherwise noted.

Text-only version of this story.

Fish-1 and Fish-2: Lake Superior lake trout captured during the survey.

Otolith-1 and Otolith-2: Otolith from “Mary Catherine,” showing 62 years of growth.

Trout: The oldest lake trout yet discovered in Lake Superior, also known as “Mary Catherine.”

Net: A survey gill net full of lake trout captured during the Klondike Reef survey.

Types: Native lake trout ecotypes (sub-species) in Lake Superior.

Staff: Marquette Fisheries Research Station staff measuring and photographing fish captured during the survey.

The Michigan Department of Natural Resources is committed to the conservation, protection, management, use and enjoyment of the state's natural and cultural resources for current and future generations. For more information, go to Michigan.gov/DNR.