Saturday, October 16 McNeely Lake Park
|
|
 |
Saturday, October 16 Cleanup: 9:00am-noon Music and Lunch for Volunteers: 10:00am-1:00pm
After taking last year off we are once again organizing the McNeely Lake Cleanup. Supplies for the cleaning will be provided. Be sure to dress appropriately.
The Applicant LDG Development, LLC is hosting a virtual neighborhood meeting on the following proposal.
Property: 8300 Cooper Chapel Rd (intersection of Cooper Chapel Rd/Cedar Creek Rd)
Summary of Project: LDG Development, LLC, will be filing a major preliminary subdivision application for the property located at 8300 Cooper Chapel Road. The subject property fronts on Cooper Chapel Road and is approximately 74 acres in size. The proposed development will result in the creation of 148 single family lots and 128 multi-family dwelling units in several two-story buildings.
The virtual meeting will be held: Thursday, October 20, 2021 at 6:30pm
Options for Joining the Virtual Meeting: Please join my meeting from your computer, tablet, or smartphone.
https://dinsmore.webex.com/dinsmore/j.php?MTID=mcfca7a16dc825a615959b4b30002b013
Meeting Number (Access Code): 2336 663 1921 Meeting Password: agE8iPJ7fB3
If you would like to attend only via phone, you may do so by calling 1-415-655-0002 or 1-800-726-5670 and entering the access code.
If you would like to have the meeting link sent to you, please contact Shannon.Johnson@dinsmore.com, or call (502) 540-2341, and an electronic invitation will be forwarded to you.
 To view meeting notice with all maps and links Click Here
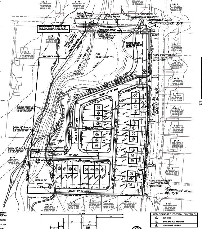
You are invited to attend a review for a Change in Zoning from R-4 Single Family Residential to PRD Planned Residential Development, with associated Detailed District Development Plan/Major Preliminary Subdivision and Binding Elements.
Subject Property: 6806 Applegate Ln (Applegate & Rochelle)
Case Number:21-ZONE-0018
Case Manager: Case Manager: Dante St. Germain (dante.st.germain@louisvilleky.gov)
Virtual Planning Commission Meeting will be held: Thursday, October 21 at 1:00pm
Options for Joining the Virtual Meeting:
https://louisvilleky.gov/government/planning-design/upcoming-public-meetings
If you cannot participate online via Cisco Webex, you may also participate by phone by calling (415)655-0001 (use the above Event Number as your access code) or by viewing the meeting at the Old Jail Auditorium (514 W Liberty St, Louisville, KY 40202)
If you wish to submit comments on this case, please submit comments (in writing) to the case manager by 5:00pm October 20, 2001.
 Click on plan to view as PDF.
You are invited to attend a review for a Change in Zoning from R-4 Single Family Residential to C-2 Commercial, with associated Detailed District Development Plan and Binding Elements, Waiver, Variance, and Parking Waiver.
Subject Property: 10501 & 10511 Preston Hwy
Case Number:21-ZONE-0081
Case Manager: Case Manager: Dante St. Germain (dante.st.germain@louisvilleky.gov)
The Virtual Land Development & Transportation Committee Meeting will be held: Thursday, October 28 at 1:00pm
Options for Joining the Virtual Meeting:
https://louisvilleky.gov/government/planning-design/upcoming-public-meetings
If you cannot participate online via Cisco Webex, you may also participate by phone by calling (415)655-0001 (use the above Event Number as your access code) or by viewing the meeting at the Old Jail Auditorium (514 W Liberty St, Louisville, KY 40202)
If you wish to submit comments on this case, please submit comments (in writing) to the case manager by 5:00pm October 27, 2001.
 Clink on plan to view in PDF
Dog of the Week: Poo-Phemism
A break from the shelter life was just what Poo-phemism needed. The happy one-year-old couldn't stop smiling during a recent field trip, probably because she’s a true water doggy and she loved hanging out in a creek, like it was her jacuzzi. The bubby one-year-old is always ready for an adventure, and she’s a great sidekick because she’s so well-behaved. Poo-phemism even allowed her field trip buddy to dress her up for Halloween. Adopt the sweetie pie for free, thanks to the Pay It Forward Free Adoptions Program. Poo-phemism is already spayed, microchipped and up-to-date on vaccinations, and she weighs 40lbs. She can be tested with children, other dogs, or cats by request. For more info about Poo-phemism email animalservicesadoption@louisvilleky.gov. To meet Poo-phemism, visit Animal House Adoption Center (3516 Newburg Road) from 12:00-6:00pm daily.
|
Cat of the Week: Kittens
Purr Alert! Kittens have taken over the Pussycat Lounge at Animal House Adoption Center. Help restore order by adopting any kitten for a $25 donation. Spay/Neuter, microchip and vaccinations are included. Or adopt a pair for just a $50 donation. Calico, tabby, tuxedo, or Bengal – we’ve got the purrfect kitten for you. Animal House, located at 3516 Newburg Road, is open from 12:00-6:00pm daily. No appointment needed, walk-ins are always welcome!
|
- A scammer claiming to represent BBB's Fraud Department called a local consumer to discuss potential fraud on her Amazon account. The victim was conned into giving the scammer access to her financial information. BBB will NOT call and ask for financial information in connection with an alleged fraud. If you receive a suspicious call like this, report it to your local BBB at (502) 583-6546 or visit bbb.org to file a Scam Tracker report.
|
2. A local consumer received a call from a scammer claiming to represent LG&E and threatening that their power would be shut off unless they paid their bill right away over the phone. LG&E representatives will not call and demand payment over the phone. Hang up and call LG&E directly. 3. A local consumer received a text message regarding a delivery. The text stated that if the consumer did not retrieve the package, he would be subject to charges. He was told to click on a link. This is a phishing scam. If you are expecting a delivery, contact the company directly. 4. Multiple consumers have contacted BBB to report text messages that appear to come from Venmo. The text messages promise the recipients a cash prize in exchange for completing a survey. This is a scam. Venmo is not offering any survey prizes. Do not click on links in any suspicious text messages! 5. A local consumer received an email that appeared to come from Lowe’s and promised a gift in exchange for completing a survey. Upon completing the survey, the consumer was asked to provide payment information for shipping fees. He then noticed numerous large charges on his card. Be wary of any emails regarding survey prizes. When in doubt, contact the store directly to verify the survey’s authenticity. 6. A local consumer reported an employment scam to BBB: she believed she was hired by an international pharmaceutical company and was sent cashier’s checks to cover the cost of her work-from-home setup. The checks were fake. When applying for jobs, research the company, look for reviews, and be very wary of any work-from-home opportunity that sends you cashier’s checks!
7. Beware of blackmailers on dating websites and apps. Victims connect with a potential match and receive requests for intimate photos and/or videos. The blackmailers then threaten to send out the explicit photos/videos unless the victims send money. Don’t give personal information or pictures to someone you have just met! 8. Multiple women have reported receiving invitations to a fake “Women’s Leadership Summit” event. The website for this fake event promises high profile speakers and networking opportunities, then asks for credit card information. Research any event before you register and watch out for phishing scams disguised as professional-looking emails.
9. Multiple consumers have reported online clothing purchase scams to BBB. Before buying online, especially when you find the products on social media sites, check reviews of the company. As a reminder, you can always look for complaints or reviews of a company on bbb.org. 10. Several local consumers have reported receiving scam phone calls alleging they’ve won a Publishers Clearing House grand prize. To claim their prize, they had to pay upfront (using a gift card or wire transfer) for processing fees/attorney fees/etc. The real Publishers Clearing House only notifies their winners by mail or in person, NOT by phone. They also do NOT require any kind of fee to claim a prize.
Always Remember to Lock Your Car and Remove All Valuables, it's the Easiest Way to Prevent Crime
|
Click Here to view LMPD's interactive crime mapping tool.
If you see crime occurring, please contact the Louisville Metro Police Department. Call 911 for emergencies. Call 502-574-7111 for non-emergency related help or to find a towed vehicle.
Call 574-LMPD to report crime tips. |