 For More information or to Schedule an Appointment Click Here
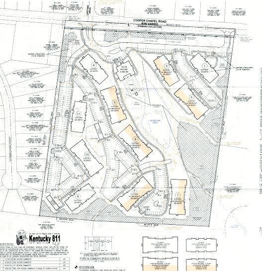
You are invited to attend a review for a Change In Zoning from PRD Planned Residential Development and R-4 Single Family Residential to R-7 Multi-Family Residential, with associated Detailed District Development Plan and Binding Elements, and Variance.
Subject Property: 6600 & 6702 Cooper Chapel Rd (across from Lantana Dr)
Case Number: 20-ZONE-0066 Case Manager: Dante St. Germain (dante.st.germain@louisvilleky.gov)
The virtual meeting will be held: Thursday, February 25, 2021 at 1:00pm
Options for Joining the Virtual Meeting:
Please join meeting from your computer, tablet or smartphone at
Meeting Link: https://louisvilleky.webex.com/louisvilleky/j.php?MTID=e3424480931edf1c7160fbb22026cf917
Event number: 180 308 6471
Event Password: LDT022521
To join this online event: 1) Go to https://louisvilleky.webex.com/louisvilleky/j.php?MTID=e3424480931edf1c7160fbb22026cf917 2) Enter the event password:LDT022521; 3) Click "Join Now"; and 4) Follow the instructions that appear on your screen to join the teleconference.
If you cannot participate online via Cisco Webex, you may also participate by phone by calling (415) 655-0001 (use the above Event Number as your access code) or by viewing the meeting at 444 S 5th Street. Social distancing requirements must be observed by anyone who opts to view the online meeting from 444 S 5th Street.
If you wish to submit comments for any of the agenda items please submit them in writing to the case manager listed on the agenda in advance of the meeting. If you have questions, please contact the case manager at 502-574-6230.
Anyone wishing to speak in support, opposition, or as other for any case should sign up in advance of the meeting by filling out an online speaker's form. Please click here to access the form.
 Click on proposed plan to open in PDF Case continued from Jan 28 meeting
Click Here to View Staff Report
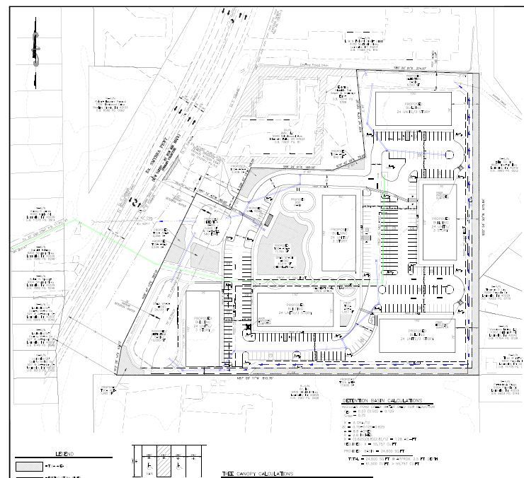
You are invited to attend a review for a Change In Zoning from R-4 Single Family Residential to R-6 Multi-Family Residential, with associated Detailed District Development Plan for Binding Elements and Waiver
Subject Property: 9301-9309 Smyrna Parkway, Parcel ID 066202630000, 066202760000 (Between Dollar General and AMVETS)
Case Number: 20-ZONE-0121 Case Manager: Dante St. Germain (dante.st.germain@louisvilleky.gov)
The virtual meeting will be held: Thursday, February 25, 2021 at 1:00pm
Options for Joining the Virtual Meeting:
Please join meeting from your computer, tablet or smartphone at
Meeting Link: https://louisvilleky.webex.com/louisvilleky/j.php?MTID=e3424480931edf1c7160fbb22026cf917
Event number: 180 308 6471
Event Password: LDT022521
To join this online event: 1) Go to https://louisvilleky.webex.com/louisvilleky/j.php?MTID=e3424480931edf1c7160fbb22026cf917 2) Enter the event password:LDT022521; 3) Click "Join Now"; and 4) Follow the instructions that appear on your screen to join the teleconference.
If you cannot participate online via Cisco Webex, you may also participate by phone by calling (415) 655-0001 (use the above Event Number as your access code) or by viewing the meeting at 444 S 5th Street. Social distancing requirements must be observed by anyone who opts to view the online meeting from 444 S 5th Street.
If you wish to submit comments for any of the agenda items please submit them in writing to the case manager listed on the agenda in advance of the meeting. If you have questions, please contact the case manager at 502-574-6230.
Anyone wishing to speak in support, opposition, or as other for any case should sign up in advance of the meeting by filling out an online speaker's form. Please click here to access the form.
 Click on Proposed Plan to open in PDF Click Here to View Staff Report
 |
|
TreesLouisville’s Community Canopy Program is back thanks to a generous donation from The LG&E and KU Foundation!
|
We have partnered with the Arbor Day Foundation to provide Louisville residents with over 650 FREE 1 gallon trees. There are a variety of large and small species to choose from depending on the space you have available, but don’t wait to register, these trees won’t last long! Register online at www.arborday.org/treeslouisville; your tree will be delivered straight to your home between March and May 2021.
Additional details to incorporate as necessary
- Species Available: Black Tupelo, Eastern Redbud, Swamp White Oak, Sweetbay Magnolia, Sweetgum, & Tulip Poplar
- All trees will be delivered in 1 gallon containers
- If you live in an area with low canopy coverage you can request more than one tree. Don’t know if that's you? The website will let you know when you try to sign up for a second tree
- This event will run from February 19th until all the trees have been registered for
- For more information about how to care for and plant your tree, visit www.treeslouisville.org
- To request tree planting assistance, participants must attend the Healthy Change event on 2/27/21
- The Arbor Day Foundation’s online tool will help you maximize energy savings by showing you the best place in your yard to plant a tree
The Developer, Ball Homes, LLC, is hosting a virtual neighborhood meeting on the following rezoning:
Property: 7507 1/2 & 7509 Mt. Washington Rd and Parcel ID00860181
Summary of Project: The proposal seeking a subdivision approval with a rezoning from R-4 Residential to R-5 Residential. The project is proposed to consist of up to 117 lots on approximately 23.5 acres. Case Number: 21-ZONEPA-0007 Case Manager: Dante St. Germain (dante.st.germain@louisvilleky.gov)
The virtual meeting will be held: Tuesday, March 2 at 6:30pm
Options for Joining the Virtual Meeting:
Please join meeting from your computer, tablet or smartphone at:
https://global.gotomeeting.com/join/549995589
You can also dial in using your phone. United States (Toll Free): 1 866 899 4679 United States: +1 (571) 317-3116 Access Code: 549-995-589
Note: If anyone would like the connection link emailed to them, or a set of the meeting slides, please email Anna Martinez at amc@bardlaw.net or Nanci Dively at nsd@bardlaw.net
For a PDF of entire meeting notice packet including all virtual meeting participation information, plans and contact information Click Here
 Click on Image to download Plans and Meeting Packet in PDF
 |
|
The Louisville Division of Fire reminds residents to use safety precautions when heating their homes as it the second-leading cause for house fires. LFD recommends the following safety tips. |
-
Candles: Flashlights and battery-operated candles are recommended for emergency lighting. If you are using real candles, be sure they are in a sturdy non-combustible container, keep them clear of combustibles and never leave them unattended. Be sure to extinguish candles before leaving the home or going to sleep.
-
Generators: Do not use generators indoors or inside attached garages and remember to keep them at least 10 feet away from the home. When fueling the generator, make sure the engine is stopped, always use the recommended type of fuel and allow it to cool down for at least 15 minutes before refueling and 30 minutes after prolonged use.
-
Carbon Monoxide: Never warm a vehicle in a closed garage, clear snow from outdoor vents and frequently test carbon monoxide detectors. Always use gas-burning ovens and stoves appropriately and never use them to heat a residence.
-
Space heaters: Make sure it meets the industry’s testing standards and has built-in safety features, like an automatic shut off or an overheat shut off feature. Do not use if the electrical cord is damaged, always unplug when leaving the room or going to bed, and remember to keep space heaters at least 3 feet away from any combustibles, draperies or furniture.
-
Downed trees and power lines: DO NOT handle any telephone, cable, or electrical lines; as they may be electrically charged and DO NOT attempt to move or go near tree limbs on your home or near electrical lines; as they may be charged.
-
When using a fireplace: Make sure it has been serviced by a certified technician and keep fires small. Always make sure the flue is in working condition and use a screen to keep embers and sparks inside the fireplace.
-
Oven & Stoves: Operate kitchen appliances appropriately. Gas ovens and stoves put you at risk of Carbon Monoxide. Open flames and hot electric burners on stoves and ovens are not designed for heating.
-
Fire Hydrants: Remove snow and ice around hydrants on you property. Create a three-foot perimeter around the hydrant for firefighters to work . Clear a path from the street to the hydrant.
 |
|
JCPS seniors can go to college for free through a new scholarship offered by Evolve502
|
The scholarship, which launched Oct. 1, allows eligible students in the Class of 2021 to begin postsecondary studies tuition-free at any Kentucky Community and Technical College school, including Jefferson Community and Technical College, or Simmons College of Kentucky to pursue an associate degree or career credential, or take 60 hours of credit. The Evolve502 scholarship is a last dollar scholarship, meaning Evolve502 will fund the difference between federal and state financial aid and college tuition.
The application takes about five minutes to complete online at evolve502.org/scholarship. Once applications are submitted and reviewed, applicants will receive a follow-up email with next steps including completing the federal financial aid form and applying to eligible colleges.
In addition to the scholarship, Evolve502 is offering opportunity grants to support students whose families earn less than $40,000 annually. The opportunity grants are $1,000 per semester ($2,000 maximum per year) and can be used to assist in costs outside of tuition including healthcare, transportation, books and more. The grants will automatically be given to Evolve502 Scholarship recipients who meet qualifications.
Golf passes are now on sale for the 2021 season! You can purchase them by appointment only by calling the Joe Creason Park golf office at (502) 574-7275 or by clicking here. Reminder, courses are currently open and operating with COVID-19 protocols during the winter. And it's never too early to start thinking ahead to the spring!
|
Louisville Parks and Recreation is seeking lifeguards for the 2021 swim season! The next training session begins Feb. 7 at the Mary T. Meagher Aquatic Center. It's the perfect summer job for a college student home for the summer or a high school student looking for some work experience. And for those who work at one of our outdoor pools, training sessions are FREE! For more information, please click here.
|
These sites are continuously updated. For the latest up to date information on COVID-19 please visit the following:
Louisville Metro - What You Need to Know about Coronavirus
and kycovid19.ky.gov
Many businesses and local organizations are taking steps to help during this crisis. These include stores opening only for seniors and those most vulnerable at certain times of the day, free digital access for certain households, and waiving delivery fees for orders from independently owned restaurants.
This site is updated regularly. COVID-19 Response.
Small Business Resources COVID-19 (updated frequently)
https://louisvilleky.gov/government/louisville-forward/small-business-resources-covid-19
Always Remember to Lock Your Car and Remove All Valuables, it's the Easiest Way to Prevent Crime
|
Click Here to view LMPD's interactive crime mapping tool.
If you see crime occurring, please contact the Louisville Metro Police Department. Call 911 for emergencies. Call 502-574-7111 for non-emergency related help or to find a towed vehicle.
Call 574-LMPD to report crime tips. |