601 W. Jefferson Street Louisville, KY 40202 502.574.1111 Contact Kevin Kramer
 Scott Harrington
Legislative Assistant Phone: 502-574-3456 Contact Scott Harrington
Track Crime in the City
|
Dear Neighbor:
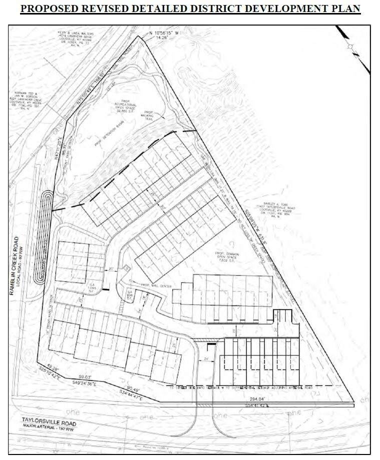
We are writing to invite you to a meeting we have scheduled to present neighbors with a proposed RDDDP to allow a 43-unit townhome community to be located as above.
After performing additional market analysis, the applicant decided to add garages to the front of the townhomes while keeping the same number of units and general layout. As before, there is no proposed connection to Rambling Creek Road. The purpose of the neighborhood meeting is to inform the community of the proposed changes to the approved development plan in case #23-ZONE-0004. After the meeting, the proposed changes and a summary of the meeting will be submitted to the Office of Planning for review. A public meeting will take place once the application is complete. You are encouraged to participate at the public meeting. You may also send comments on the proposed.
Comments will be made available for consideration at the public meeting.
In that regard, a meeting will be held on Tuesday, September 23, 2025, beginning at 6:00 p.m. at the Jeffersonian (in the Kentucky Room) located at 10617 Taylorsville Rd, Jeffersontown, KY 40299.
Enclosed for your review are the following: 1.The previously approved development plan and the proposed RDDDP 2.LOJIC site location zoning map sheet showing the location of the site 3.Contact information sheet, and how to obtain case info online from Office of Planning online customer service portal 4.Office of Planning “After the Neighborhood Meeting” sheet
If you are unable to attend the meeting, or have any questions or comments, please feel free to email or call me at the number listed above.
We look forward to our opportunity to visit with you.
Sincerely,
Nicholas R. Pregliasco
|