Invitation to Neighborhood Informational Meeting re: Franconia Properties

Banner
Councilman Kevin Kramer

Metro Councilman Kevin Kramer

601 W. Jefferson Street
Louisville, KY 40202
502.574.1111
Contact Kevin Kramer
 

Become a Fan

  
Scott Harrington

 

Legislative Assistant
Phone: 502-574-3456
Contact Scott Harrington


Track Crime in the City

Invitation to Neighborhood Informational Meeting


Dear Neighbor:

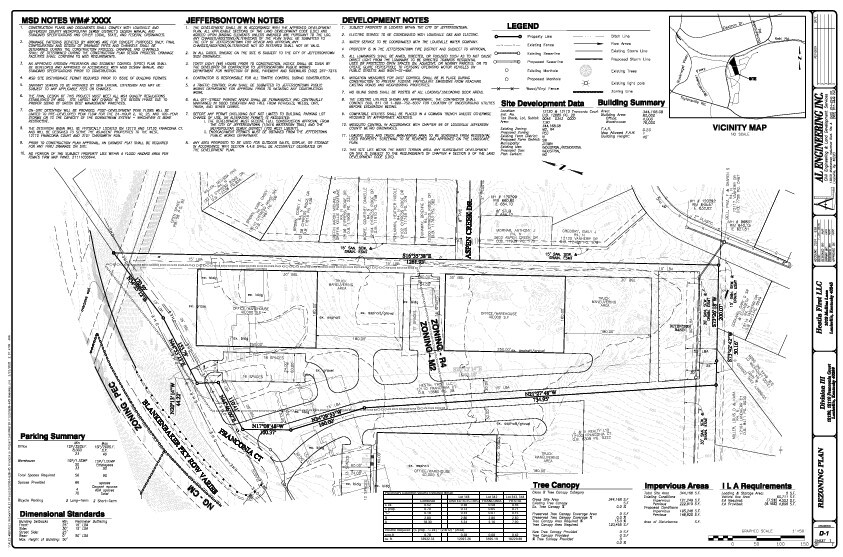
Our clients, UEC Holdings, Inc., J &V Realty, LLLP, and Hestia First, LLC recently submitted a Change in Zoning Pre-Application to allow for the development for office and warehouse space on the properties located at 3101 Chenoweth Run Road, 12100 Franconia Court, 12110 Franconia Court, and 12120 Franconia Court. The subject properties are located along Blankenbaker Parkway and Franconia Court as shown on the map on page 2 of this letter. The proposed change in zoning will be from R-4 Single-family and M-2 Industrial to PEC-Planned Employment Center. The proposed developments will include office warehouse buildings and associated parking, along with landscaping and buffering where adjacent to the residences to the south and east of the subject properties. We are inviting nearby owners, residents, and other neighborhood stakeholders to a meeting to discuss the proposal as indicated below.

MEETING: Location: The Jeffersonian – Kentucky Room 10617 Taylorsville Road Louisville, Kentucky 40299

Date: April 10, 2025

Time: 6:00 p.m. – 7:30 p.m.

In preparation of the meeting, please be advised of the following: 1. Summary of Project: The proposals will allow the applicants to develop office and warehouse spaces as shown on the attached plans. 2. Proposed Development Plan Attached please find a copy of the proposed development plans for your review. 3. Location of Proposed Project Please see the below map showing the location of the properties for the proposed developments.

CLICK ON LINK BELOW FOR A PDF VERSION OF NOTICE:


1
2
3
4
5
67

translation-graphic-revised-2023