All shows are free to attend and run from 6-10pm. Bring a cooler, picnic basket or grab some food from the 7th Division Grill.
People are encouraged to bring a chair or blanket to enjoy the show.
Highview Park is located at 7201 Outer Loop. Please enter through Briscoe Lane.
Remaining Shows:
July 23 - Sheryl Rouse and The Unlimited Show Band with guest Blue Phonoque (R&B)
August 6 - The Rigbys Beatle Tribute with guest Strung Out Loud (Rock)
 For the most up to date information visit FridayFest Facebook Page
 Shakespeare's famous romantic comedy will be brought to life starting this weekend in live, two-actor performances at various library locations around Louisville. Audiences will be engaged with Kentucky Shakespeare's professional actors in a creative show that focuses on the importance of self-respect, self-esteem, healthy relationships, and conflict resolution.
The show will be presented at the South Central Regional Library on Sunday, July 25 at 2 p.m. Click here for more information including additional show dates and times.
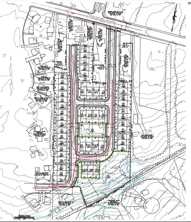
The Applicant, Harden's Cove, LLC is hosting a virtual neighborhood meeting on the following proposal.
Property: 5402 and 5406 Cooper Chapel Rd. (across from Indian Falls Dr)
Summary of Project:
Harden's Cove, LLC, the developer, is seeking a change in zoning from R-4 Single-Family Residential to PRD (Planned Residential Development), a Major Preliminary Subdivision Plan and Detailed Development Plan to be named "Harden's Cove" for property involving approximately 9.5 acres on two separate parcels located at 5402 and 5406 Cooper Chapel Rd. The Applicant proposes PRD zoning to create forty-nine (49) single-family buildable lots on the Property. Case # 21-ZONE-0087 the assigned case manager is Joel Dock.
The virtual meeting will be held: Wednesday, July 28, 2021 at 6:00pm
Join from the meeting:
Join by meeting number Meeting number (access code): 179 136 0230 Meeting password : e3gPXPjP$62 (33479757 from phones) Tap to join from a mobile device (attendees only)baker +1-408-418-9388.,1791360230#33479757# United States Toll Some mobile devices may ask attendees to enter a numeric password.
 For a PDF of entire meeting notice packet including all virtual meeting participation information, plans, maps and contact information Click Here
The Applicant Joseph Waldman of Highgates Development, is hosting a virtual neighborhood meeting on the following proposal.
Property: 5604 Mount Washington Rd. (behind Kohl's)
Summary of Project: The Applicant is requesting a change of zoning from R4 to R6 to construct a 354-unit, multi-family development in 3-story buildings on approximately 20.53 acres. A plan has been filed to initiate the Pre-Application review process with Louisville Metro Planning and Design Service and has been assigned case #21-ZONEPA-0086. The assigned case manager is Dante St. Germain.
The virtual meeting will be held: Wednesday, July 28, 2021 at 6:00pm
Options for Joining the Virtual Meeting: Please join my meeting from your computer, tablet or smartphone. https://global.gotomeeting.com/join/980978877
You can also dial in using your phone. (669) 224-3412 Access Code: 980-978-877
If you would like to have the meeting link sent to you, please send an email requesting it to rfeist@mindelscott.com
 For a PDF of entire meeting notice packet including all virtual meeting participation information, plans, maps and contact information Click Here
Guests will have the opportunity to view the world’s tallest life-sized, robotic dinosaurs, ranging from 5-foot-long baby triceratops to a 40-foot-long Tyrannosaurus rex.
A Louisville Zoo membership or general admission ticket will allow guests to encounter the prehistoric period prior to extinction in “Dino Quest,” presented by Great Clips. Purchase tickets today at louisvillezoo.org/tickets.
For information about “Dino Quest” visit LouisvilleZoo.org/dino
|
Always Remember to Lock Your Car and Remove All Valuables, it's the Easiest Way to Prevent Crime
|
Click Here to view LMPD's interactive crime mapping tool.
If you see crime occurring, please contact the Louisville Metro Police Department. Call 911 for emergencies. Call 502-574-7111 for non-emergency related help or to find a towed vehicle.
Call 574-LMPD to report crime tips. |