|
  Five projects were brought before City Council for review during the May 2025 meetings:
- The Council approved a conditional final plat for Brook Chase Phase Three, located north of Washington Street and west of 23rd Street.
- Another conditional final plat was approved for the Peak at Broken Arrow Addition, located south of Florence Street and west of Aspen Avenue.
- An amendment to the conditional final plat was approved for Timber Ridge Business Park, located west of Evans Road and south of Kenosha Street.
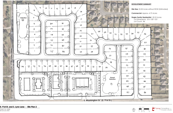
- A request to change the Comprehensive Plan designation was approved for Lynn Corner, located on the northeast corner of Washington Street and Lynn Lane.
- Another change to the Comprehensive Plan was approved for Bel Lago, located north of Houston Street and west of Evans Road.
You can learn more about these approvals by clicking on the image below or by following this link.
This is a monthly newsletter focusing on the Broken Arrow City Council’s approvals of rezoning requests, conditional final plats, comprehensive plan changes, and planned unit developments.
|
|
|
|