LD&T Public Hearing for Rezoning of 3106 Chenoweth Run Road

Banner
Councilman Kramer Headshot

Metro Councilman Kevin Kramer

601 W. Jefferson Street
Louisville, KY 40202
502.574.1111
Kevin.Kramer@louisvilleky.gov
 

Become a Fan

  
Scott Harrington

 

Legislative Assistant
Phone: 502-574-3456 Scott.Harrington@louisvilleky.gov

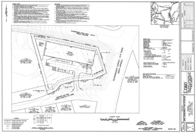
LD&T Public Hearing to review a Change in Zoning from R-4 to CM proposed mini-warehouse/storage with detailed plan and parking waiver


Subject Property:  3106 Chenoweth Run Road

Case #:  21-ZONE-0135

Case Manger: Joel Dock (joel.dock@louisvilleky.gov)

Meeting Type:  Land Development & Transportation

Meeting Date:  Thursday, March 24, 2022

Time:  Meeting begins at 1PM and continues until all cases are heard

Location: https://louisvilleky.gov/government/planning-design/upcoming-public-meetings

3106 Chenoweth Run Road
3106 Chenoweth Run Road rezoning