|
Photo Copyright (C) New York Times
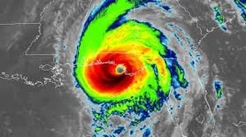
When Hurricane Michael made landfall on Oct. 10, 2018, it devastated portions of the Florida's Panhandle, causing widespread damage across Bay, Calhoun, Franklin, Gadsden, Gulf, Holmes, Jackson, Jefferson, Leon, Liberty, Okaloosa, Wakulla, Walton, and Washington counties. Many of the water and wastewater systems in these counties suffered damage during the storm.
DEP staff from across the state immediately stepped in to assist with recovery efforts. These efforts included phone calls and site visits to determine operational status, response needs and to offer assistance and guidance with recovery. DEP staff also assisted county emergency operations centers and worked at the State Emergency Operations Center in Tallahassee.
DEP's Northwest District Director, Shawn Hamilton, deployed to Bay County's Emergency Operations Center shortly after the hurricane. After he returned to Pensacola, he told his Northwest District team, "I saw so much damage and so much destruction, but I also saw so many people helping each other, and communities coming together to clean up, make repairs and begin the rebuilding process. I am proud that DEP continues to be a part of that process. Hurricane Michael did a lot of damage and recovery will take time and we will continue to offer our support where and whenever we can."
Our Northwest District Panama City Branch Office located at 470 Harrison Ave was damaged during the storm and is closed while repairs are being made. We are hopeful that we will reopen the office in late January. In the meantime, our staff is working in a temporary office located near the Bay County Emergency Operations Center and phones have been forwarded, so you should be able to reach them at the temporary location. We apologize for any inconvenience. If you have any trouble reaching our Panama City staff, please contact our Pensacola Office at 850-595-8300.
All non-transient non-community water systems are required to monitor once in 2019 for synthetic organic contaminants. However, systems may qualify for a reduction in monitoring based on previous compliance data. To apply for reduced monitoring, complete the application form and submit it to Paula Smith at Paula.Smith@FloridaDEP.gov.
You may also mail your application to Florida Department of Environmental Protection, 160 W. Government St., Suite 308 Pensacola, FL 32502.
Applications should be mailed as soon as possible to allow enough time for the request to be evaluated and a determination made prior to deadline. If you have any questions, please contact Paula Smith at 850-595-0632.
 |
All Operator Certification Program exams (Water, Wastewater and Distribution tests) are being administered via Computer Based Testing (CBT) through our testing vendor PSI. This change allows greater flexibility and convenience when scheduling your examination, and allows you to receive grade results before leaving the testing facility.
There are now two testing sites within DEP's Northwest District, Pensacola and Tallahassee and several others close by in Mobile, Ala, and Tifton, Ga. Go to http://online.goamp.com (the PSI website) to register for your exam and once you receive an examination approval letter from DEP, you can go to the same site to schedule your exam. Exams may now be scheduled Monday through Saturday.
For more detailed scheduling information, please review the Candidate Handbook located on the PSI’s website. You may also visit the DEP Operator Certification website for more info.
|
Ensuring a safe water supply is one of our top priorities. Florida laws require certain safety measures to be taken by Public Water Systems. Rule 62-555.320(5), Florida Administrative Code, addresses public water system security.
- Drinking water treatment or pumping facilities are to be enclosed by fences with lockable access gates, housed in lockable buildings or enclosures, or otherwise protected to prevent tampering, vandalism and sabotage.
- Finished drinking water storage facilities are to be enclosed by fences with lockable access gates, have lockable access openings and lockable cages or enclosures obstructing access to ladders, or be otherwise protected to prevent tampering, vandalism and sabotage.
The most common basic security measure for community water system pumping, treatment and storage facilities is fencing. The primary goal of fencing is to establish a legal demarcation by defining the perimeter boundaries of a facility; to present a barrier that causes an intruder to make an overt action to penetrate that demonstrates intent; and to create a delay barrier against unauthorized access. In addition, fencing may help protect the facility from visual observation and establish a clear zone for enhanced lighting and surveillance; and provide a means for the installation of intrusion detection sensors.
So what constitutes adequate security fencing? The American Society of Civil Engineers, in association with the Environmental and Water Resource Institute and the American National Standards Institute, published Guidelines for the Physical Security of Water Utilities.
- The guideline for a base-level fence requires a galvanized steel chain-link fence post with 6-foot or greater fabric height.
- The guideline for an enhanced-level fence requires a galvanized steel chain-link fence post with 8-foot or greater fabric height.
- Fence fabric should be one-piece and should be coated with zinc or polyvinyl chloride (PVC).
- The guideline for base-level fabric requires a minimum standard No. 9 wire gauge and mesh pattern of 2-inch diamond mesh or smaller.
- Enhanced-level chain-link fencing should comply with the requirements for the base level guideline chain-link fencing, except use No. 6 or No. 8 gauge fencing fabric in place of No. 9 gauge, and mesh patterns 1-inch or less across.
Water system representatives should periodically survey fenced facilities to ensure that foliage from surrounding properties is not encroaching upon the potable water facility. Trim foliage and tree branches, or remove bushes and trees that provide accessible pathways for intruders or that block the visual site line for facility staff and law enforcement personnel.
 Northwest District Potable Water staff greatly appreciate water system owners and operators who provided updates on their system's status and sampling results following Hurricane Michael.
To those who own or operate facilities and are still closed as a result of Hurricane Michael, please remember to let us know before you reopen, as clearance bacteriological sampling will likely be needed before you can safely offer your water to customers.
The 20th Consumer Confidence Report (CCR) season is upon us! The Department of Environmental Protection with the help of Florida Rural Water Association is offering help sessions for the development of your community water system’s 2018 CCR. Help sessions are hands-on workshops for the development of your CCR, which is a required annual report (community water systems only) detailing your water quality to customers. These sessions are intended for small to medium systems (population under 10,000), but are available on a space available basis to larger systems as well.
2019 Help Session Dates
Pensacola -
Jan. 29 - 1:00 p.m. CST (Session currently full) Jan. 30 - 8:00 a.m. or 1:00 p.m. CST March 20 - 1:00 p.m. CST March 21 - 8:00 a.m. or 1:00 p.m. CST
Tallahassee -
Feb. 25 - 1:00 p.m. EST Feb. 26 - 8:00 a.m. or 1:00 p.m. EST April 24 - 11:00 a.m. EST
To reserve a spot, contact Elizabeth Willard at Elizabeth.Willard@FloridaDEP.gov or 850-595-0667 or Lexie Woodson at Alexandria.Woodson@FloridaDEP.gov or 850-595-0640. Registration is requested at least two weeks prior to the session. Sessions fill up quickly so call as soon as you can to reserve a spot.
As an alternative, the department is able to provide you with a computer printout of your 2018 data. If you prefer to receive a printout and do not feel that you need the hands-on assistance of a help session, please contact the department at the numbers above. The 2018 CCR template and directions can also be found at http://www.frwa.net. |